
Newborn foal undergoes surgery to repair fractured mandibles
The filly was 5 days old when she was found with a bloody jaw hanging out of place
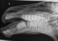
In its “Case of the Month,” the University of California, Davis (UC Davis) highlighted the case of a newborn foal, named Quincy, who presented with a broken jaw. Later X-rays showed that the foal had completely displaced fractures of both of her mandibles, which had left her unable to nurse, according to UC Davis.1
Quincy was taken to UC Davis after her breeder, Amanda Johnson, owner of Johnson Livestock—a boutique American Quarter Horse breeding facility in Gilroy, California—found Quincy, then 5 days old, in the barn with a bloody jaw hanging out of place. Quincy’s veterinarian, who was out of town, recommended Johnson take Quincy to UC Davis.
“She was out of town but took the time to discuss the situation with me,” said Johnson in a UC Davis report.1 “She suggested I take Quincy to UC Davis. They would have the latest techniques to fix the jaw and give Quincy the best outlook for her future as a performance horse.”
Quincy was admitted to the Equine Internal Medicine Service after arriving at UC Davis’ William R. Pritchard Veterinary Medical Teaching Hospital. Despite the fractures in her mandibles, Quincy appeared alert, responsive, and in good health, according to UC Davis.1 Due to Quincy’s inability to nurse because of her fractured jaw, the team at UC Davis placed a nasogastric tube for feeding. At the hospital, Sandra Valdez, DVM, DACVS, DABVP (Equine), faculty of UC Davis, manually reduced the fractures and applied a bandage to the wound to provide short-term stabilization until Quincy was admitted to surgery.
Once cleared for surgery, the team with the Diagnostic Imaging and Anesthesia Services performed a CT scan to classify the fracture and help guide surgical planning.
After the team talked to Johnson, it was decided that they would stabilize Quincy's fractures with external fixators. Her fractures were then reduced by Scott Katzman, DVM, DACVS-LA, associate professor and chief of service alongside Bridget Ratliff, DVM, with David Orozco-Lopez, DVM—both UC Davis surgery residents. Moreover, locking compression plates were placed on the exterior of Quincy’s face. Accurate fracture reduction and proper placement of the external implants were consequently confirmed with intraoperative fluoroscopy.
According to UC Davis, Quincy recovered smoothly from anesthesia and was able to resume nursing just one day following surgery.1 She remained hospitalized for one week, after which she was discharged and continued recovery at home.
X-rays taken at 2 recheck visits confirmed that she was healing properly. Five weeks post-surgery, the fixators were removed. The injury occurred in late February, and Johnson has since reported that Quincy’s recovery is complete.1
More about Quincy and Johnson Livestock
According to UC Davis, Johnson started Johnson Livestock by acquiring mares from a Wyoming ranch that had earned the American Quarter Horse Association’s prestigious Best Remuda Award. The award recognizes ranches that raise outstanding American Quarter Horses and is the oldest and most distinguished ranching award.
Quincy’s mother, Buckin Bay Rose, is a 12-year-old mare by Playboys Buck Fever—a 1999 buckskin stallion that earned the title of National Reined Cow Horse Association (NRCHA) Supreme Reined Cow Horse. Her father, or sire, is Call Me Mitch, is the second highest earning horse in the NRCHA’s history.1
Reference
- Warren R. Surgeons repair newborn foal’s broken jaw. University of California, Davis School of Veterinary Medicine. May 28, 2025. Accessed June 3, 2025.
https://www.vetmed.ucdavis.edu/news/surgeons-repair-newborn-foals-broken-jaw#:~:text=UC%20Davis%20equine%20surgeons%20placed,Katzman%20and%20surgery%20residents%20Drs .
Newsletter
From exam room tips to practice management insights, get trusted veterinary news delivered straight to your inbox—subscribe to dvm360.





