
|Articles|March 7, 2008
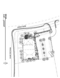
2008 Hospital of the Year: Site plan
Author(s)Amanda Bertholf
Animal Medical & Surgical Center in Scottsdale, Ariz.
Advertisement
Advertisement
Newsletter
From exam room tips to practice management insights, get trusted veterinary news delivered straight to your inbox—subscribe to dvm360.
Advertisement






